网站首页  词典首页


请输入您要查询的字词:

 

字词 长江三峡链子崖煤层采空区老空洞探地雷达探测
类别 中英文字词句释义及详细解析
释义

长江三峡链子崖煤层采空区老空洞探地雷达探测


长江三峡链子崖底部煤层采空区的分布及其后期充填情况是评价链子崖危岩体稳定性的重要资料,同时也是确定治理工程混凝土承重阻滑键布置的重要依据。为此,在充分的地质调查分析基础上,委托煤炭科学研究总院采用地质雷达技术,利用PD2、PD6和PD1三个勘探平硐对煤层采空区的空洞或充填疏松地带进行了探测,取得了较好的效果。

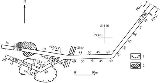
地质雷达资料的解释是靠图形识别来进行的。具体解释过程是在资料处理后进行的对比,即对比波在相位、周期(频率)、同相轴和波形等运动学方面的特点,以及测点间在二维(横向与纵向)方向上组成的图形特征。同时,还应注意到相位的强弱(动力学特点)。图1-9为PD2沿线的一段探地雷达图像,图中44~61m之间显示为灰岩分布区,在76~85测点之间出现周期加大,相位改变,呈现明显弧形同相轴,反映的是煤层采空区。根据采空区的这种特征所得PD2平硐的探测成果列于图1-10与表1-5中(刘传正,2000)。

图1-9 PD2Z线雷达图像(100MHz)

图1-10 PD2平硐雷达测线布置与探测成果

1-煤层采空区;2-充填但未压实的采空区

表1-5 PD2平硐探地雷达勘查异常解释综合表

【参考文献】:

段永侯,罗元华,柳源等.1993.中国地质灾害.北京:中国建筑工业出版社

郭建强,彭成,孙党生等.2003.链子崖危岩体勘查中物探技术的应用.水文地质工程地质

胡厚田.1989.崩塌与落石.北京:中国铁道出版社

李媛,张颖,钟立勋.1992.中国滑坡崩塌类型及分布图说明书.北京:中国地图出版社

李智毅,王智济,杨裕云.1996.工程地质学基础.武汉:中国地质大学出版社

李智毅,唐辉明.2000.岩土工程勘查.武汉:中国地质大学出版社

李大心.1994.探地雷达方法及其应用.北京:地质出版社

连克,朱汝裂,郭建强.1991.音频大地电场法在地质灾害调查中的应用尝试——长江三峡链子崖危岩体隐伏地质结构的探测.中国地质灾害与防治学报

刘传正.2000.地质灾害勘查指南.北京:地质出版社

晏同珍,杨顺安,方云.2000.滑坡学.武汉:中国地质大学出版社

展建设,吴庆曾.1991.跨孔声波穿透法在探测三峡链子崖隐伏裂缝中的应用.中国地质灾害与防治学报

张咸恭,李智毅等.1998.专门工程地质学.北京:地质出版社

随便看

 

离鸟网收录3541549条中英文词条,其功能与新华字典、现代汉语词典、牛津高阶英汉词典等各类中英文词典类似,基本涵盖了全部常用中英文字词句的读音、释义及用法,是语言学习和写作的有利工具。

 

Copyright © 2004-2024 vtrois.com All Rights Reserved
更新时间:2026/4/20 7:58:38