网站首页  词典首页


请输入您要查询的字词:

 

字词 嗅鞘细胞的免疫学特性及其在脊髓组织中的迁移特性
类别 中英文字词句释义及详细解析
释义

嗅鞘细胞的免疫学特性及其在脊髓组织中的迁移特性


以上关于嗅鞘细胞各方面的实验研究最终目的无疑是将其应用于临床修复中枢神经系统的损伤,而临床移植嗅鞘细胞不得不考虑接受移植的病人对它的免疫排斥反应、移植以后嗅鞘细胞是否能存活以及嗅鞘细胞是否能够定向迁移而不是仅局限于移植部位。所以,有关于嗅鞘细胞免疫学特性及其在脊髓组织中迁移的研究非常有必要。

一、嗅鞘细胞的免疫学特性

迄今关于嗅鞘细胞免疫学特性的动物实验为数甚少,沈慧勇等首先开展关于人胚嗅鞘细胞免疫学特性的初步研究。目前的研究表明,HLA-DR位点是异基因移植时免疫排斥反应发生的主要位点;CD80和CD86是免疫排斥反应发生的最重要共刺激通路B7/CD28的信号分子;近年来对CD40/CD40L共刺激通路的研究表明,该通路的阻断可明显降低免疫排斥反应的发生率。该实验选择HLA-DR、B7-1(CD80)、B7-2(CD86)、CD40和CD40L这些与免疫排斥反应密切相关的膜分子为检测对象,分别用小鼠的抗人抗体免疫荧光标记,然后应用FACScan流式细胞仪分析细胞样本中1×104个细胞的相应标记抗原的阳性表达率,同型IgG作为相应的阴性对照。其结果为人胚嗅鞘细胞表面与移植免疫排斥发生密切相关的标志:HLA-DR、B7-1(CD80)、B7-2(CD86)、CD40和CD40L均为阴性,如图22-3、图22-4所示。该实验用相同方法检测了骨髓间充质干细胞(MSCs)表面以上分子是否存在,其结果同人胚嗅鞘细胞。所以,此实验的结果提示人胚嗅鞘细胞与骨髓间充质干细胞一样,可能是一种免疫缺陷细胞,这为临床上人胚嗅鞘细胞的移植、细胞联合移植提供理论依据。

图22-3 FACScan流式细胞仪计数结果(M1为计数相应分子阳性细胞数的区域。计数细胞为10000个)

图22-4 联合免疫标记FACScan流式细胞仪计数结果(计数细胞为10000个)

单向混合淋巴细胞反应(MLR)是体外模拟细胞免疫反应比较简单、可靠的方法,由于供、受体主要组织相容性抗原的差异,受体淋巴细胞识别供体细胞导致细胞活化伴有增殖。MLR反映供、受者的组织相容性及淋巴细胞对异体抗原的反应能力,所以MLR很早就被用于测定供、受者的组织相容性和测定免疫耐受性,混合淋巴细胞反应程度与两个体组织不相容程度成正比。其方法如下:无菌条件取手术切除脾脏组织,铜网研磨制备细胞悬液,以淋巴细胞分离液分离淋巴细胞,并用尼龙毛柱去除B细胞;用完全培养液调整细胞数为3×105/ml。将人胚嗅鞘细胞经30Gy辐照灭活,然后加入96孔U型板100μl/孔(3×105/ml),各设平行的6个复孔,对照组为培养液。过夜培养使其贴壁,次日每孔吸出上清50μ1,然后补加等体积的培养液,最后加100μ1人新鲜分离的脾淋巴细胞进行单向异种混合淋巴细胞培养,培养细胞置37℃、体积浓度5%CO2孵箱培养6d。收样前18h每孔加1μCi的3H-TdR。自动收集仪收集细胞于玻璃纤维膜上,液闪仪测cpm(counts per minute)值。其结果为:OEC组的cpm值为18684.67±212.232,对照组的cpm值为18599.67±33.262。将所得cpm值进行t检验,P值均大于0.05。显示OEC对混合淋巴细胞反应无明显的刺激作用。提示OEC对混合淋巴细胞反应无明显的刺激作用。OEC在体外有诱导细胞移植免疫耐受性的作用。然而需要指出的是,植入的供体细胞不但要避免受体的免疫排斥反应,最重要的还是在移植后能保持原有的功能。同种异体嗅鞘细胞移植修复脊髓损伤的实验研究中发现,在没有使用免疫抑制剂的情况下,移植细胞可以在受体内长期存活,无明显的免疫排斥反应,并有一定程度的功能恢复。

二、嗅鞘细胞在中枢神经中迁移特性

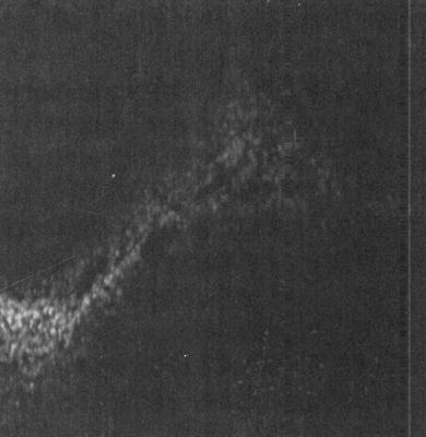
沈慧勇等将绿色荧光蛋白(Green Fluorescence Protein,GFP)标记的嗅鞘细胞移植入动物脊髓损伤模型,观察嗅鞘细胞在脊髓中存活、迁移的特性。绿色荧光蛋白荧光性质稳定,高温处理、甲醛固定和石蜡包埋不影响其荧光性质,并且无光漂白现象。用GFP作标记基因,不用破碎组织或外加底物,直接通过荧光显微镜就能进行活细胞实时定位观察,因此被广泛地应用于基因表达调控、转基因动物研究、蛋白在细胞中功能定位、迁移变化、病原体侵入活细胞的分子过程等方面。GFP基因转入嗅鞘细胞内,可发出绿色荧光。结果显示pEGFP-N1真核表达载体在哺乳动物细胞中有很好的转染效率和表达,两天后就可观察到绿色荧光,如图22-5所示。将绿色荧光蛋白标记的嗅鞘细胞混悬液(1.0×105cells/μl,无血清)2μl注入脊髓损伤大鼠模型的脊髓断端,9-0无创伤线缝合硬脊膜,然后依次缝合肌肉及皮肤。在移植后14天、2个月取脊髓标本,然后常规石蜡包埋,脊髓纵行方向切片,厚度6μm,在荧光显微镜下观察细胞标记荧光的分布情况。其结果如下:移植后14天,移植细胞主要集中于原移植区域。2个月后见嗅鞘细胞纵向扩散,最大迁移距离可距移植区域2mm,与其促进神经轴突再生的方向一致,但未见到横向迁移。2个月后仍然可见荧光轮廓清晰,细胞荧光未见减弱,细胞密度也较大。如图22-6、图22-7所示。此结果提示,移植后2个月嗅鞘细胞仍大量存活。但是目前对嗅鞘细胞移植后的存活和迁移情况缺乏长期的观察。Alan V.Bomch等人用一种叫作bisbenzimide的核酸荧光色素标记嗅鞘细胞,将标记好的嗅鞘细胞置于无血清的培养基中,细胞浓度为1×105/μl,然后将其移植于用吸出脊髓组织的方法制备的背外侧脊髓半横断的大鼠动物模型中。1个月以后,取损伤部位的脊髓标本做纵行的切片,用荧光纤维镜观察嗅鞘细胞在脊髓内的迁移及存活情况。其结果如下:移植后1个月嗅鞘细胞仍然大量存活,被标记的嗅鞘细胞仅在受损伤的背侧脊髓组织中发生迁移,在未受损的腹侧脊髓组织中未发现有嗅鞘细胞的迁移,如图22-8所示。这说明嗅鞘细胞的迁移可能受到损伤神经及其轴突所表达的分子信号的调节。

图22-5 倒置荧光显微镜下观察到的GFR基因转染的嗅鞘细胞

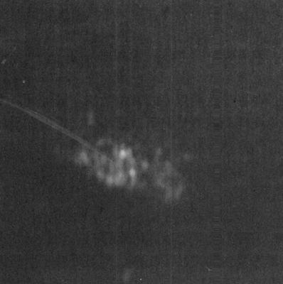
图22-6 移植后14天,嗅鞘细胞主要集中于原移植区域

图22-7 移植后2个月,可见嗅鞘细胞发生纵向迁移

图22-8 移植后4周OECs在大鼠脊髓中迁移的特性。(标记的OECs仅在受损的脊背侧髓组织侧发生迁移(图的上半部分),而没有出现在未受损的腹侧。LS代表受损部位,箭头所指为被标记的OECs)

随便看

 

离鸟网收录3541549条中英文词条,其功能与新华字典、现代汉语词典、牛津高阶英汉词典等各类中英文词典类似,基本涵盖了全部常用中英文字词句的读音、释义及用法,是语言学习和写作的有利工具。

 

Copyright © 2004-2024 vtrois.com All Rights Reserved
更新时间:2026/4/19 5:18:04